25260 Fillmore Road, South Bend, IN 46619
1 bed
1 bath
No data
Listed on Dec 4, 2025
1 bedroom
1 bathroom
--
Single family residence
Property Type
No year data
Year Built
1 parking space(s)
Garage
No area data
Lot Area
No price/sqft data
Price per sqft
No HOA fee data
HOA fee
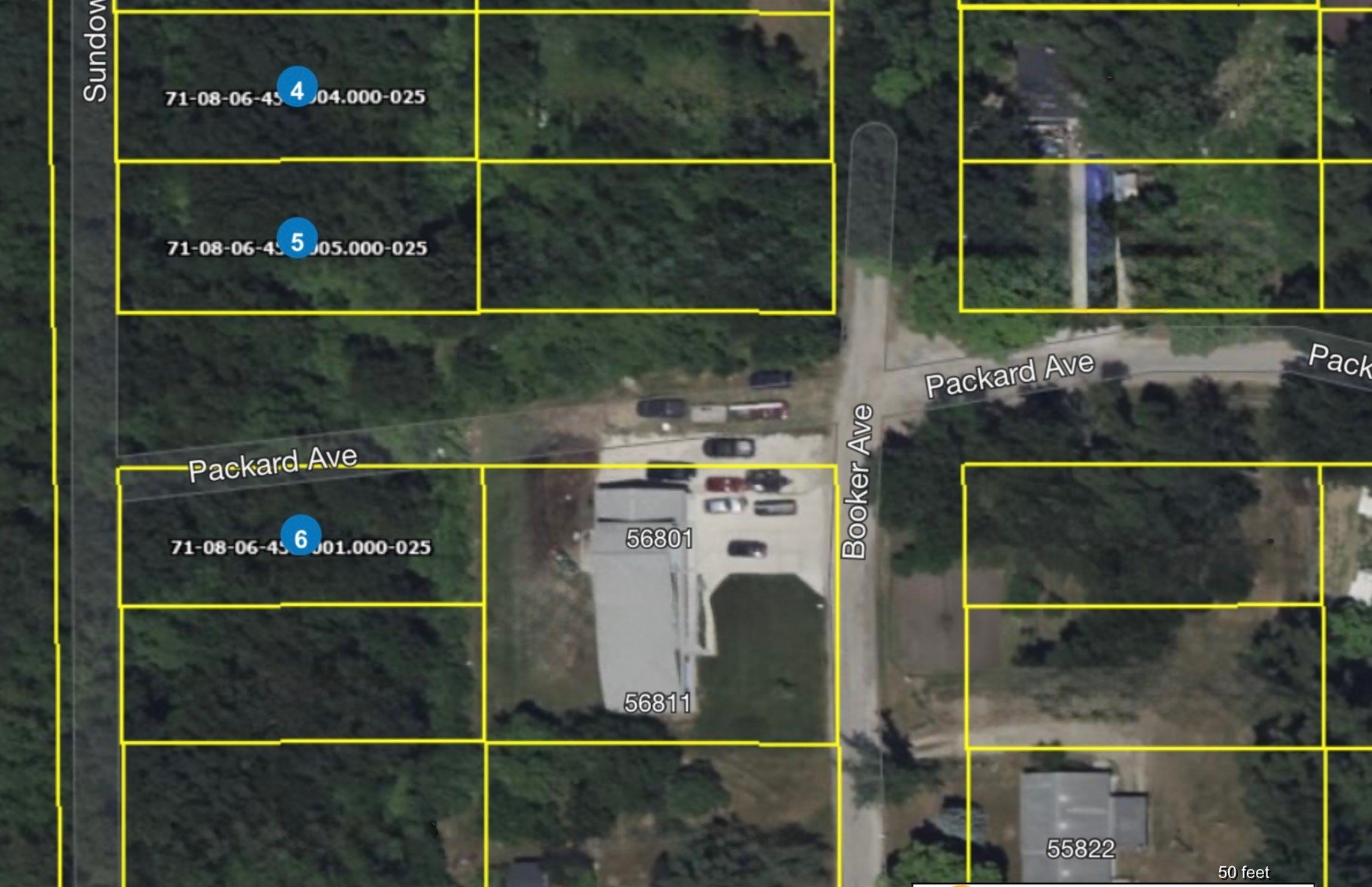
11 South Bend lots part of a total of 24 lots (13 in Osceola). All unimproved and wooded. Perfect for a developer/builder to scoop these up and build some homes for our growing community. Near the New Carlisle Data Center, golf courses, soccer fields, restaurants, shops, South Bend Intl. Airport, Country Clubs, IN Dinosuar Museum, SB Chocolate Factory, Chain O Lakes, Rum Village, The Studebaker Museum. Listing price reflects the total of all 11 lots. Lot #1 is 25260 Fillmore and is .35 (100’x155’) of an acre – LP $20,000. It’s PN is 71-07-12-226-002.000-029. Lot #2 is 55764 Booker Ave and is .17 of an acre (54’x140’) – LP $9,500. It’s PN is 71-08-06-454-001.000-025. Lot #3 is 55770 Booker Ave and is .19 of an acre (59’x140’) – LP $9,500. It’s PN is 71-08-06-454-002.000-025. Lot #4 no address (17 Lot 5 Sundown Lot) and is .19 of an acre (59’x140’) – LP $10,000. It’s PN is 71-08-06-453-004.000-025. Lot #5 has no address (17 Lot 6 Sundown Lot) and is .19 of an acre (59’x140’) – LP $10,000. It’s PN is 71-08-06-453-005.000-025. Lot #6 has no address (17 Lot 7 Sundown Lot) and is .18 of an acre (55’x140’) – LP $9,700. It’s PN is 71-08-06-455-001.000-025. Lot #8 is 24651 Packard Ave and is .34 of an acre (50’x292’) – LP $20,000. It’s PN is 71-08-06-376-035.000-025. Lot #9 has no address (S Adj 55764 Sundown Rd) and is .19 of an acre (59’x140’) – LP $10,000. It’s PN is 71-08-06-453-002.000-025. Lot #10 has no address (V L Adj 55764 Sundown) and is .17 of an acre (54’x140’) – LP is $9,500. It’s PN is 71-08-06-453-001.000-025. Lot #11 is 55799 Orchid and is .19 of an acre (59’x141’) – LP $10,000. It’s PN is 71-08-06-456-017.000-025. Lot #16 has no address ( Vac Lot Sundown) and is .19 of an acre (59’x140’) – LP $10,000. It’s PN is 71-08-06-453-003.000-025. All lots are level. Some roads are not fully improved. All titles have been checked by Michiana Title and are free and clear.
Features
1 parking spaces
1 levels/stories






















